On the first day of week 38 we were off of the ship and at a cafe. At the cafe we got all of my school done and had this really yummy Oreo drink. Mum and dad had 2 coffees each. It was really just a chill day. We saw a few sea lions. It was just another normal day in Galàpagos 🤭.

The next day we didn’t do much, but we did go to Tortuga Bay. It was a really nice beach with clear water and really nice soft sand. While we were there dad and I made sand sculptures. We made a turtle and a tortoise. It looked really cool. Then after the beach we just chilled.



The most amount of excitement was at night time when we walked around town. At one point it was really annoying because there was this party with someone who had the most annoying voice I have ever heard. They were saying random stuff in Spanish. What I could understand was “ERRE TU LISTA A FIESTA?” That means “are you ready to party?” in Spanish. There was also a lot of music and restaurants. It was really cool. And after that we went to this beach had about 50 sea lions! It was crazy. But what I found very sad was this poor little baby sea lion that was very very skinny because we think its’ mum died and it doesn’t know how to hunt for it’s own food. It was very sad. We planned on seeing it the next day hoping it would get some food. It was still a really nice day.


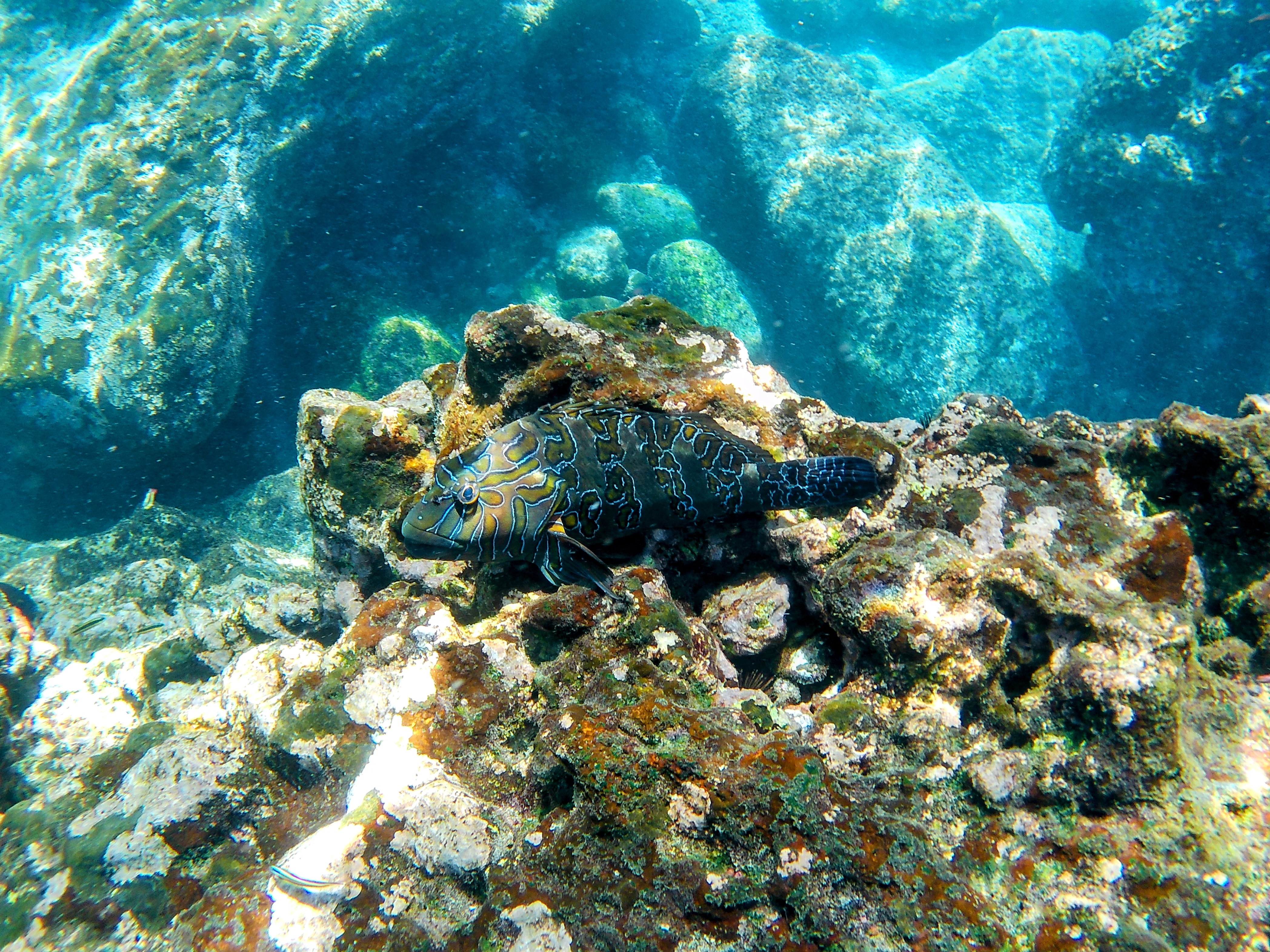
The next day dad went scuba diving with hammerhead sharks. So mum and I had a girl’s day. We went to 2 beaches and walked 5 km. At each of the beaches we went snorkelling. Both of the snorkels were amazing. In the first one there were lots of sea lions, and in the second one there were lots of turtles and seal lions. The second beach was definitely the best one. You couldn’t step in the water without stepping on a turtle! It was crazy. At the second beach there was this massive sea lion that rolled over all of our shoes and sniffed our snorkel gear, and if I hadn’t of told mum to move, she would have been squashed by him! It was so funny.





Then after a really nice beach sesh, we went home and watched movies together. Then dad had came home from his diving and showed us the photos. After that we went to the beach to look at the sea lions again. Luckily the baby sea lion wasn’t there, so that would probably mean that his mum had found him and taken him to a new spot. Then we went to this nice bar called The Post Office. We got a drink each, I got a Fanta, dad got a beer, and mum also got a beer. While we were having our drinks I counted how many sea lions were on the beach. And there was 142! It was an awesome day.


For the next 2 days we did the exact same things! We went to a good snorkelling place, went to the beach, went home, and went to the bar to get a nice drink with sea lions in the background. It was a really good 2 days.




Fun Facts
What is the most populated island in Galápagos?
Answer: Santa Cruz island has 12,000 people!
How many islands are in Galápagos?
Answer: There is 13 Galápagos islands…. Baltra, Española, Fernandina, Floreana, Genovesa, Isabela, Marchena, Pinta, Pinzon, San Cristobal, Santa Cruz, Santa Fe, and Santiago.
What does ‘Tortuga’ mean?
Answer: Tortuga is the Spanish word for a turtle or tortoise.

